Oblasti na Kubi so pred prihodom orkana evakuirale več kot 735.000 ljudi. Predsednik države Miguel Diaz-Canel je opozoril, da bo to eden najmočnejših orkanov, ki so kdaj prizadeli otoško državo.

A man walks under the rain before the arrival of Hurricane Melissa in Canizo, a village in Santiago de Cuba, Monday, Oct. 28, 2025. (AP Photo/Ramón Espinosa)

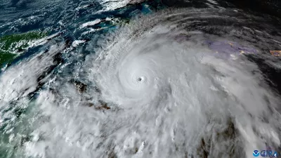
Orkan je na Kubo prinesel vetrove, ki pihajo s hitrostjo okoli 200 kilometrov na uro. Foto: AP

Ameriški center za orkane je opozoril, da gre za izredno nevaren orkan in da lahko ob močnem dežju in vetru pričakujejo življenje ogrožajoče poplave ter tudi zemeljske plazove, preden bo orkan po pričakovanjih zvečer krenil proti Bahamom. Po poročanju britanskega BBC je center izdal opozorilo pred orkanom za kubanske province Granma, Santiago de Cuba, Guantanamo, Holguin in Las Tunas, pa tudi za jugovzhod in osrednji del Bahamov.

Katastrofa na Jamajki

Premier Jamajke Andrew Holness je vso državo razglasil za območje naravne nesreče in uradno zaprosil druge države za pomoč, med drugimi ZDA. Uvodoma so poročali o treh smrtnih žrtvah, po navedbah vlade pa je prezgodaj za ocene, koliko bi jih lahko še bilo, poroča britanski BBC.

Minister za lokalno upravo in podnebne spremembe Dezmond McKenzie je dejal, da je več kot 530.000 oziroma 77 odstotkov vseh odjemalcev ostalo brez električne energije, dela za obnovo pa so se začela nemudoma. Prednost imajo bolnišnice in objekti za oskrbo s pitno vodo.

People gather at a school turned shelter while Haiti is seeing downpours from the outer bands of Hurricane Melissa, as the storm is churning towards Cuba, after making landfall in Jamaica, in Les Cayes, Haiti, October 28, 2025. REUTERS/Patrice Noel

Jamajčani doživljajo veliko naravno katastrofo. Foto: Reuters

Pomoč že na poti

Združeni narodi načrtujejo letalski prevoz 2000 paketov pomoči na Jamajko z Barbadosa, ko bodo ponovno odprta letališča. Pomoč je načrtovana tudi za druge prizadete države, vključno s Kubo in Haitijem, je povedal tiskovni predstavnik ZN Stephane Dujarric. Jamajški uradniki so povedali, da je bilo v državi okoli 25.000 turistov.

Obseg škode, ki jo je orkan Melissa povzročil na Jamajki, še ni znan. Več bo znano do jutra, nevarnost poplav in zemeljskih plazov še ni minila, celovita ocena škode pa bi lahko trajala več dni. McKenzie je za televizijo CNN povedal, da so posledice katastrofalne, pri čemer je navedel poplavljene hiše in hudo poškodovano javno infrastrukturo. Ljudi ogrožajo tudi krokodili, ki jih je naplavil orkan.

Orkan Melissa je bil najhujši od vseh, ki so kdaj prizadeli Jamajko, hitrost vetra pa je bila višja od tiste med orkanom Katrina, ki je leta 2005 opustošil New Orleans v ZDA.

Priporočamo